Sarcobatus Solar secures Special Use Permit from Nye County
Nye County commissioners have given the green-light for a solar project on 800 acres of privately-owned land 30 miles north of Beatty but unlike a vast majority of solar energy generation projects, this one will not be feeding electricity onto the grid. Instead, Sarcobatus Solar will be utilizing all of the energy produced to run an on-site, distributed data processing center.
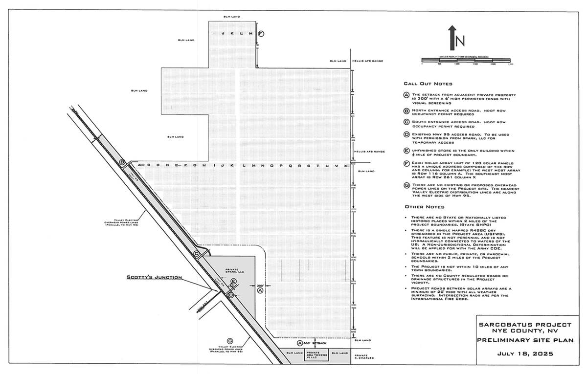
Proposed by TeslaSolar, LLC, the Sarcobatus Solar project is planned for property on the northeast side of the U.S. 95 at Scotty’s Junction. As it lies in Nye County, project representatives were required to obtain a Special Use Permit and preliminary approval of the overall plan of development, both requests taken up by the commission this month.
“This is a request for a Special Use Permit to allow for a proposed 244-megawatt solar energy facility,” Nye County Principal Planner Qiana Medici detailed for the board at its Jan. 21 meeting. “Each array will have an adjacent, 100-square foot, prefabricated metal equipment shed that will house on-site data processing servers and energy storage systems. It is similar to a project that has been successfully deployed north of Tonopah. The project will not have a permanent substation, solar resource monitoring towers or large storage yards. A small office, maintenance shed and yard are planned to be located near the project entrance.”
Certain residents questioned the lack of a substation and wanted to know where the power would ultimately end up but as project representatives explained, this solar facility is somewhat unique as it will not be selling power.
“Our project is a little bit unusual in that, we are not connected to the grid. We use all the power right on site and it’s used for data processing. So, the only connection to the outside world is via the internet. Nothing goes to California, everything stays within Nye County,” Tom Smith, permit lead for the Sarcobatus Solar project, stated, adding, “These 10-by-10 boxes that go with each of the arrays, they have a little data processor in them and they are air-conditioned and have a little battery that allows them to work 24/7. They do data mining – bit coin or other small data assignments that can be handled by a small processor.”
There were a number of other public concerns voiced at the meeting and Smith did his best to address each. As to nighttime lighting, he stated the project does not require much lighting but what is included will comply with dark sky regulations. As for reflective glare, the company has conducted a visibility study to ensure that drivers traveling on the U.S. 95 will not be affected by glare. On dust mitigation, Smith said the project is comprised of fairly small arrays and will require less disturbance that many other solar projects.
“The arrays are very small, the construction is going to be done with very small equipment. We’re not talking about large excavators or large graders, it’s pretty much a run of the land set-up,” Smith assured. “We’re not going to be digging up the ground, the fixed arrays are actually on ballast boxes, so they sit right on top of the ground… There will be some dust control – we have to get a dust control permit from the state – and the plan would be to use a local dust control company with a 2,000-gallon dust truck.”
Water was another point he spoke to, stating that the project would have minimal water needs. “We do not need any water for the operation long term, we’re not putting a well in and we’re not looking for any water rights,” Smith stated.
“My concern with solar is usually location, location, location,” commission chair Ron Boskovich remarked before the item came to a vote. “I think this is a great location, it’s out of the way.”
Commissioner Debra Strickland made the motion to approve the Special Use Permit and preliminary development plan, which passed 4-0. Commissioner Bruce Jabbour, as he has a business relationship with the owners of the property in question, recused himself from the discussion and abstained from the vote.
Contact reporter Robin Hebrock at rhebrock@pvtimes.com





